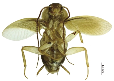
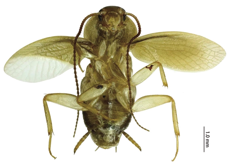
蜚蠊,俗称蟑螂,目前已知的种类有4000余种,是海关口岸监测的重要病媒生物之一,具有极强的适应力、繁殖力,作为外来物种很容易在入侵地定殖,对入侵地生态环境造成威胁,还可能携带未知病原体传播疾病,危害人类健康。
此前,中山港海关、珠海国际旅行卫生保健中心国家医学媒介生物监测重点实验室在中山港口岸对一批自法属圭亚那进口的原木进行联合查验检疫时,截获一头蜚蠊,现场关员迅速取样送实验室鉴定,并对同批次货物实施检疫处理。
实验室技术人员通过DNA条形码技术及形态学鉴定,均未匹配到已知的蜚蠊种类,在查阅大量文献资料并向国内外多位专家咨询、讨论的基础上,经进一步研究,依程序确认该头蜚蠊为未被描述过的拉丁蠊属蜚蠊物种,为全球首次报道。
(丁 乐 李嘉乐)


